GOES-16/GOES East Data and Imagery
View additional GOES-16 imagery and data through the following webpages:
- CIMSS RealEarth: GOES-16 ABI and GLM data
- CIMSS Satellite Blog
- CIRA SLIDER GOES-16 real-time imagery
- College of DuPage GOES-16 ABI and GLM data
- NASA SPoRT real-time GOES-16 ABI data
- NASA SPoRT real-time GOES-16 GLM data
- NOAA Space Weather Prediction Center SUVI imagery
- NOAA STAR GOES East Image Viewer
- RAMMB-CIRA Satellite Library
- SSEC Geostationary Satellite Imagery: GOES-16
- UMD-CICS GLM data
GOES-16 Pre-Operational Data and Imagery
A note to the weather community about using GOES-16 data.
This section contains imagery prior to GOES-16 being declared operational. Users assume all risk related to their use of pre-operational GOES-16 data and NOAA disclaims any and all warranties, whether express or implied, including (without limitation) any implied warranties of merchantability or fitness for a particular purpose.
Local High Resolution Image Links:
This section mirrors the Flickr gallery above but contains links to only HIGH RESOLUTION LOCAL (to our server as opposed to Flickr) images. It functions as a 'one click' quick access to the highest resolution version of each image as well as back up in the event Flickr is down.
-
High Rez: Derecho Outflow Interacts with Sierra Madre Cloud Formation
-
High Rez: Still Inspiring After 50 Years: Earth Day Images Then and Now
-
High Rez: This Day in History: Deepwater Horizon Oil Spill Occurred
-
High Rez: Easter Sunday Tornado Scars Mississippi Landscape
-
High Rez: GOES-East Watches Supercells Split as Powerful Storm System Moves Eastward
-
High Rez: GOES-East Watched North Atlantic Cyclone Pummel Iceland
-
High Rez: This Year’s Vernal Equinox Is the Earliest in 124 Years
-
High Rez: Prescribed Burn Brings Haziness to D.C. Area
-
High Rez: Large Low Pressure System Swirls in the North Atlantic
-
High Rez: Lake Effect Snow Dumps on the Great Lakes Region
-
High Rez: Von Kármán Vortices Make Swirling Cloud Patterns off Canary Islands
-
High Rez: Rain Saturates the South
-
High Rez: Floods in Brazil Cause Mudslides and Property Damage
-
High Rez: Multiple Winter Storms Are Moving Across the U.S.
-
High Rez: Great Lakes Region Slammed By Severe Winter Storm
-
High Rez: Two Large Winter Storms to Wallop Parts of the U.S.
-
High Rez: Tropical Storm Sebastien Gradually Weakens Over the Atlantic
-
High Rez: Powerful Mid-Latitude Cyclone Forms in the North Atlantic
-
High Rez: GOES East Focuses on Dual Storm Systems
-
High Rez: Lorenzo Lashes Azores Islands Before Taking Aim at Ireland
-
High Rez: GOES East Celebrates the Autumnal Equinox
-
High Rez: Tropical Activity is Ramping Up This September
-
High Rez: Potential Tropical Cyclone Nine Brings Rain and Wind to the Bahamas
-
High Rez: GOES East Sees Dorian Moments Before Making Landfall Over Cape Hatteras, NC
-
High Rez: Dorian Slows to a Crawl Over Grand Bahama
-
High Rez: Florida Braces for Hurricane Dorian
-
High Rez: Large Saharan Dust Plume Blows Across the Atlantic
-
High Rez: A Picture of Dorian as Seen by GOES East
-
High Rez: GOES East Focuses On Wildfire Smoke in the Canary Islands
-
High Rez: NOAA Satellites Monitor Arctic Wildfires
-
High Rez: Gulf Coast Braces for Tropical Storm Barry
-
High Rez: Clouds Associated with Tropical Disturbance Bubble Up Over Louisiana
-
High Rez: Parts of Chile and Argentina Experience Total Solar Eclipse
-
High Rez: GOES East and GOES West See Summer Solstice
-
High Rez: Tropical Moisture Inundates Gulf Coast
-
High Rez: GOES-16 Monitors Historic Flooding in the Midwest
-
High Rez: Destructive Storms Prompt Tornado Emergency in Kansas
-
High Rez: Violent Tornado Rips Through Missouri’s Capital
-
High Rez: First Named Storm of 2019 Atlantic Hurricane Season
-
High Rez: Tornado Outbreak Possible Across Central and Southern Plains
-
High Rez: More Heavy Rain Headed for Already Waterlogged Region s
-
High Rez: GOES East Sees Sprawling Storm System Along the East Coast
-
High Rez: GOES-16 Detects East Coast Meteor
-
High Rez: Swath of Mid-April Snow Stretches Across Great Lakes Region
-
High Rez: GOES East Captures SpaceX Falcon Heavy Launch
-
High Rez: Powerful Winter Storm Takes Aim at Plains and Upper Midwest
-
High Rez: GOES-16 Monitors Record Flooding in the Midwest
-
High Rez: GOES East Captures View of Vernal Equinox
-
High Rez: GOES Rare Tropical Storm Forms in the South Atlantic
-
High Rez: GOES East Snow/Cloud Layers
-
High Rez: GOES East Day Cloud Phase Distinction RGB_1.24.19
-
High Rez: Snow Covered U.S.
-
High Rez: Three Views of the Winter Solstice from GOES East
-
High Rez: Plankton Swirls off Argentina Coast
-
High Rez: Wettest Year on Record for Many Cities in the Eastern U.S.
-
High Rez: Record December Snowfall in the Mid-Atlantic
-
High Rez: GOES-16 and GOES-17 Mollweide Projection
-
High Rez: Election Day Storm Brings Rain and Wind to Eastern U.S.
-
High Rez: Category 5 Hurricane Willa Heads Toward Mexico
-
High Rez: GOES East GeoColor Imagery of Hurricane Michael (October 10, 2018)
-
High Rez: Rose Forecast to Become Major Hurricane
-
High Rez: GOES East Sees Swollen Rivers After Hurricane Florence
-
High Rez: Hurricane Florence Makes Landfall
-
High Rez: Hurricane Florence Nears the East Coast
-
High Rez: Florence Strengthens to a Category 4 Hurricane
-
High Rez: GOES East Views Active East Pacific Tropics
-
High Rez: The Carr and Ferguson Fires Spread Smoke Across California
-
High Rez: Summer Mid-Latitude Cyclone in Central Canada
-
High Rez: Tropical Storm Chris, Beryl's Remnants, and More Saharan Dust over the Atlantic
-
High Rez: GOES East Captures Saharan Dust
-
High Rez: GOES East Captures Wildfires in Northern California
-
High Rez: The Summer Solstice Seen from GOES East
-
High Rez: Mid-Latitude Cyclone on the First Day of Summer
-
High Rez: Wildfire Smoke Blows Across the Central Rockies
-
High Rez: GOES East Sees Hurricane Bud in the Eastern Pacific
-
High Rez: Tropical Storm Aletta in the Eastern Pacific80607-TSAletta
-
High Rez: Severe Thunderstorms Trigger a Meteotsunami
-
High Rez: GOES East Water Vapor Imagery (May 6, 2018)
-
High Rez: GOES East Colorized Infrared Imagery (May 6, 2018)
-
High Rez: April Storm Brings Wild Weather Across the U.S.
-
High Rez: May Begins Warm and Sunny in the Eastern U.S.
-
High Rez: East Coast Gears up for Another Nor'easter
-
High Rez: Heavy Snowfall in the Northern Plains
-
High Rez: East Coast Bomb Cyclone
-
High Rez: Happy Winter Solstice!
-
High Rez: GOES-16 is Operational as NOAA's GOES-East!
-
High Rez: United States Covered in Clouds
-
High Rez: Snow Cover in Eastern United States
-
High Rez: Maria Makes Landfall Over Dominica
-
High Rez: Hurricane Maria Approaches the Leeward Islands
-
High Rez: GOES-16 Sees Hurricanes Katia, Irma and José
-
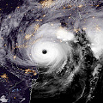
High Rez: GOES-16 Catches Irma's Eye over the Florida Keys
-
High Rez: GOES-16 Geocolor of Hurricane Irma on September 6, 2017
-
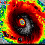
High Rez: GOES-16 Infrared of Category 5 Hurricane Irma
-
High Rez: Hurricane Harvey on August 26, 2017
-
High Rez: GOES-16 Geocolor Imagery of Hurricane Harvey Just Prior to Making Landfall
-
High Rez: GOES-16 Full Disk Geocolor of Moon's Shadow during 2017 Solar Eclipse
-
High Rez: Moon's Shadow Moves East of The Mississippi as seen by GOES-16 during the 2017 Solar Eclipse
-
High Rez: The East Coast Disappears under the Shadow of the Moon
-
High Rez: GOES-16 Spies the Moon's Shadow over the Central Plains
-
High Rez: GOES-16 Total Precipitable Water and Cloud Top Height
-
High Rez: GOES-16 Land Surface Temperature
-
High Rez: GOES-16 Cloud Products
-
High Rez: Moon's Shadow Makes Landfall over the Pacific Northwest
-
High Rez: GOES-16 Geocolor Image of Tropical Storm Harvey
-
High Rez: SUVI Captures Large Coronal Hole Image 1
-
High Rez: SUVI Captures Large Coronal Hole Image 2
-
High Rez: First Solar Images from GOES-16
-
High Rez: GOES-16 and GOES-13 Water Vapor Imagery of Winter Storm
-
High Rez: First Data from GOES-16 SEISS Instrument
-
High Rez: GOES-16 16 Panel ABI
-
High Rez: GOES-16 ABI Africa Dust
-
High Rez: GOES-16 ABI Argentina
-
High Rez: GOES-16 ABI California
-
High Rez: GOES-16 ABI Caribbean
-
High Rez: GOES-16 ABI Moon from Geo Orbit
-
High Rez: GOES-16 North America
-
High Rez: GOES-16 ABI Yucatan
-
High Rez: GOES-16 ABI Full Disk
-
High Rez: GOES-16 and GOES-13 first day comparison
-
High Rez: GOES-16 ABI Northeast Coast
-
High Rez: First GOES-16 MAG Data
-
High Rez: First Data Released from GOES-16 EXIS Instrument Shows Solar Flare
-
High Rez: First Image from GOES-16 Lightning Mapper